BREAKING NEWS Large HURRICANE CATEGORY forming… See more

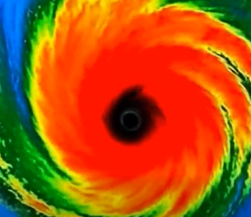
The clock just ran out. Sirens wail, highways choke with cars, and Hurricane Beryl roars toward the coast, swelling into a monster no one can stop. Families are splitting in panic: stay or flee. Officials say “evacuate now,” but shelters are filling, gas is running out, and the water is already rising.
By the time Beryl’s outer bands lash the shoreline, it is already rewriting lives. Families who left early watch the radar from crowded shelters, clutching phones and praying their homes will still be standing. Others, stuck by lack of money, transport, or time, brace behind boarded windows as transformers explode and the power dies. The storm surge swallows familiar streets, leaving only rooftops and floating debris where neighborhoods once stood.

Yet survival begins before landfall. Those who heeded evacuation orders, secured their homes, stocked food, water, and medicine, and stayed glued to official alerts gave themselves a fighting chance. Beryl is a brutal reminder that preparation is not panic; it is love in action. When the wind finally calms and the water retreats, the difference between devastation and survival will be measured in the hours when people chose to act, not wait.

Related Posts

Safely Cleaning Your Enameled Dutch Oven

How to Clean Your Dutch Oven: The Truth About Boiling Baking Soda We’ve all seen those viral videos showing how to remove years of buildup from a…

On my wedding day, my pregnant ex-wife arrived to congratulate me—but when my new wife…

Wedding Day Shock: Past Secrets Unravel in an Instant The room fell silent. Tension hung thick in the air. All eyes shifted between Van and me, waiting…

Why Machine-Washing Your Bath Mat Is a Bad Idea

Why You Should Avoid Putting Bath Mats in Your Washing Machine Introduction I’ve always thrown almost everything in the washing machine—clothes, towels, bedding, even dog beds. Until…

“The wife claimed their dog attacked her repeatedly without cause. Skeptical, the husband recorded them, only to be shocked by what appeared on screen.

Loyal Dog Saves Husband from Hidden Danger A wife repeatedly claimed their dog attacked her for no reason. The husband didn’t believe her at first. But when…

She Whispered a Secret on the Plane — and I Knew She Needed Me Most

While we were on the plane, my daughter whispered, “Dad, I think my period started!” You may like Денес направете го ова за утре да немате болки…

He assaults a 78-year-old widow in a coffee shop, without imagining that her son is a Navy SEAL

The slap cracked through the diner like a gunshot. Travis’s fist smashed across the face of seventy-eight-year-old Marta, sending her sliding across the tile until she hit…

Leave a Reply

Your email address will not be published. Required fields are marked *